“Daar, palmbomen!”, roept Ivar. “Eindelijk”, antwoordt Floris. “Volgens de kaart zijn we er bijna”. We koersen af op de Cocos Keeling Islands. Een groepje eilanden, zo plat als een pannenkoek. Eromheen ligt een ring van koraal – zo’n 6 bij 8 mijl – waar we nog wel eerst “doorheen” moeten zien te komen. We sturen Lucipara 2 naar de noordoostelijke pas, een opening in de ring. Links en rechts breken de oceaangolven met veel geweld op het rif, maar eenmaal door de pas komen we snel in de golfluwte. In vlak water volgen we de betonning naar de ankerplaats. Nu zien we hoe uitgestrekt de lagune is. “Het lijkt wel een atol in Frans-Polynesië,” zegt Ivar enthousiast. “Wat een paradijs, midden in de Indische Oceaan!” Zijn we inderdaad in het walhalla of dreigt er verdoemenis?
Paradijs op aarde
Het anker zakt naar 10 meter diepte, waar we het zo in het zand zien vallen. Het water is hier kristalhelder. We roepen de Australian Federal Police op om onze aankomst te melden. Want al hebben we het vasteland van Australië inmiddels ruim 1.000 mijl achter ons gelaten, en zijn we dichter bij Sumatra: toch maakt dit eiland deel uit van Australië. Terwijl we op de autoriteiten wachten, kijken we onze ogen uit. Hagelwitte stranden en hoge kokospalmen lokken ons aan land. Nadat we zijn ingeklaard, kunnen we Direction Island gaan verkennen. Dit is het exclusieve revier van zeiljachten, mijlenver van de dorpjes op de andere eilanden. We struinen over het smetteloze strand tot we op een picknickplek stuiten, met bankjes en tafels onder een afdak en kant-en-klare barbecues – het blijft natuurlijk Australië. Er is zelfs WiFi! We staan ook even stil bij de vele kunstwerkjes met namen van jachten en bemanningen. Beschilderde houten bordjes, plastic boeien en schelpencreaties zijn de stille getuigen van de vele zeiljachten die ons voorgingen en hier een stop inlasten. Geef ze eens ongelijk!
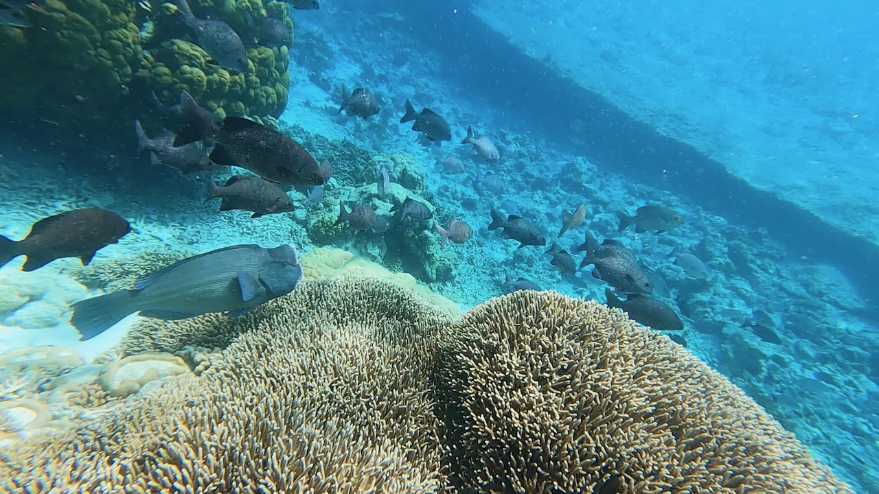
Snorkelen met stroming
Een wandelpad brengt ons naar ‘The Rip’, aan de zuidkant van het eiland. Oceaangolven spoelen hier over het buitenrif en veroorzaken een constante stroom de lagune in, vlak langs het eiland. Volgens andere zeilers is dit een prachtige snorkelplek, maar we aarzelen toch om het water in te gaan. Het stroomt als een gek en de bodem is bezaaid met vlijmscherp koraal. “Ach, het wordt snel diep, dus het moet kunnen”, besluit Floris. Hij zet zijn snorkelmasker op en neemt een flinke duik. Ivar springt erachteraan. Meteen sleurt het water ons mee. Met handen en voeten sturen we bij, zodat we in het diepe gedeelte blijven drijven, veilig langs de riffen. Moeder natuur haalt hier alles uit de kast, zo zien we al snel. Koraal in vele variëteiten en kleuren en talloze soorten vissen – kleine, maar vooral ook veel grote. Tientallen papegaaivissen knagen ongestoord aan dode stukjes koraal, terwijl een gigantische napoleonvis rustig rondjes zwemt. Een zeeschildpad kijkt ons nieuwsgierig na van achter een koraalrots, haaien liggen op de bodem, wachtend op een passerende prooi. Terwijl we naar het strand zwemmen, zien we een kleurrijke picasso-trekkervis in het witte zand wroeten. “Nog een keer!”, roept Ivar. We kunnen geen genoeg krijgen van deze betoverende plek. Veel later, moe van het zwemmen, peddelen we terug naar Luci. We nemen een slok verse kokosmelk en kunnen ons geluk niet op.
Knooppunt
Cocos Keeling is een populair knooppunt voor wereldzeilers die onderweg zijn van Australië of Azië naar Zuid-Afrika. Maar het is meer dan dat. Talloze informatieborden op Direction Island vertellen het spannende verhaal van een voormalig radiostation, waar in beide wereldoorlogen fel om is gevochten. Hier kwamen namelijk belangrijke radiokabels bijeen. Tegenwoordig blijkt het eiland helaas ook een knooppunt op een heel ander vlak: een stroom afvalplastic. Aan de oceaankant van de eilanden ligt zo veel aangespoelde troep, dat opruimen een haast onmogelijke taak is. De vuilnisbelt strekt zich kilometerslang uit, zo ver het oog rijkt. We worden er stil van. “En dan te bedenken dat 95% van het oceaanplastic zinkt. We kijken dus letterlijk naar het topje van de plastic-ijsberg”, verzucht Ivar. “De bewoners hier kunnen dit niet oplossen. Dit complexe probleem zal echt bij de bron moeten worden aangepakt”, stelt Floris vast.
Kwetsbaar
Als de wind een dagje wat minder sterk is, peddelen we ruim twee mijl naar het bewoonde Home Island. Het eerste dat we daar zien, is het plaatselijke kerkhof. Een forse dijk van zandzakken moet voorkomen dat het wegspoelt. Ook enkele omgevallen kokospalmen op het naastgelegen strandje zijn stille getuigen van het stijgende water. “Momenteel stijgt de zeespiegel elk jaar gemiddeld met bijna een halve centimeter”, vertelt Ivar. “Tel daarbij op dat orkanen sterker worden, wat het lage land hier nog verder bedreigt.” Bij de zeilclub naast het dorpje markeert een strook afvalplastic de hoogwaterlijn, die vrijwel op straatniveau ligt. Niets is hier hooggelegen. Straten, huizen, moestuintjes: alles is vlak en laag. “Hoe lang gaat dit nog goed? Dit eiland is echt heel kwetsbaar voor zeespiegelstijging”, constateert Ivar.
Bewogen geschiedenis
Bij het gemeentehuis krijgen we de sleutel van het lokale museum. We mogen op eigen houtje rondscharrelen en leren er over de geschiedenis van het eiland. Toen de Britse Captain William Keeling het in 1609 aandeed en naar zichzelf vernoemde, was het onbewoond. Dat bleef zo, tot zo’n 200 jaar geleden. In 1827 stichtte de Schotse zeiler en handelaar John Clunies-Ross hier met zijn familie een nederzetting. Hij begon een kokosplantage en haalde de benodigde arbeiders uit Maleisië en Indonesië. De familie Clunies-Ross heerste gedurende 150 jaar nogal dictatoriaal over het eiland, wat haar de bijnaam Kings of the Cocos opleverde. Tegenwoordig wonen er zo’n 600 mensen, de meesten afstammelingen van de kokosarbeiders. Zij bepalen het straatbeeld op Home Island, samen met hun geloof. We slenteren langs een grote moskee, zien overal teksten in het Maleisisch en ruiken Aziatisch eten.
De toekomst maken we zelf
De meeste kokosnoten worden niet meer opgeraapt; toerisme is de belangrijkste bron van inkomsten geworden. Maar voor hoe lang nog? Heeft de menselijke beschaving op dit eiland haar langste tijd gehad? De meest recente klimaatscenario’s van het IPCC lopen uiteen: 40 centimeter tot ruim een meter zeespiegelstijging in het jaar 2100, afhankelijk van hoe erg we de klimaatcrisis uit de hand laten lopen. “Het risico van zogeheten tipping points, zoals afbrekende ijsschotsen op Antarctica, is niet eens in deze voorspellingen meegenomen. Als het tegenzit, kan het dus nog veel erger worden”, merkt Ivar op. “En dat terwijl de bewoners hier zelf nauwelijks hebben bijgedragen aan de klimaatcrisis. Hoe onrechtvaardig dat zij nu in hun voortbestaan worden bedreigd door de gevolgen ervan”, voegt Floris toe. Een week later varen we met gemengde gevoelens verder. We laten een paradijselijke stop achter ons. Maar wel een die door plastic verstikt dreigt te worden, en door de oceaan opgeslokt. “Aan ons allen de taak om daar wat aan te doen!”, maant Ivar nog maar eens. “We weten immers wat er moet gebeuren, op grote en kleine schaal. Op onze hele reis zijn we oplossingen tegengekomen. Nu nog toepassen. Niet alleen voor de bewoners van Cocos Keeling, maar uiteindelijk voor ons allemaal.”
Meer informatie? Kijk hier voor duurzame oplossingen en de zeilavonturen van Sailors for Sustainability.
Meer vertrekkersverhalen? Lees alles van Column Anna, Black Moon en bekijk de vlog van Yndeleau.





